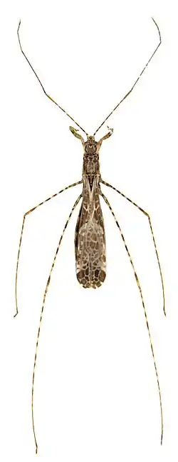
Empicoris culiciformis
Empicoris culiciformis is a species of predatory true bugs with a Holarctic distribution.
| Empicoris culiciformis | |
|---|---|
![]() | |
| Scientific classification | |
| Kingdom: | |
| Phylum: | |
| Class: | |
| Order: | |
| Suborder: | |
| Family: | |
| Genus: | |
| Species: | E. culiciformis |
| Binomial name | |
| Empicoris culiciformis (De Geer, 1773) | |
The species is found in Europe, across the Palearctic to the Russian Far East and temperate China and the range includes North Africa, and North America. Empicoris are delicate-looking insects with raptorial forelegs. They feed on barklice. Empicoris are not so often observed because of their hidden way of life. They live in hollow and mouldering trees, barns, chicken coops and cracks in old walls.
References
- T. R. E. Southwood & Dennis Leston, 1959 Land & Water Bugs of the British Isles Frederick Warne & Co.
ISBN 0723200033
This article is issued from Wikipedia. The text is licensed under Creative Commons - Attribution - Sharealike. Additional terms may apply for the media files.
